In the Frequently Asked Questions (FAQs) of flight instructing, “What makes a good checkpoint?”, is a very common question during the initial cross country stage of flight training. Just like most things in life, the answer really does vary and depend on a number of things.
It’s all to easy to pigeon-hole a response to questions like this. Commonly, you’ll hear, an airport is always a good checkpoint, because they are on the chart and easy to identify… WRONG! Last September I wrote, “The Art of the (Aeronautical) Chart… What you see versus reality!” and if you look at item #4, you’ll see what airports DO NOT always make good flying checkpoints.
Today we’re going to explore 3 things that factor into the choice of what makes a good flying checkpoint. Whether you are taking out the old, rusty e6b (whiz wheel, flight computer) and filling in a paper flight plan sheet or you’re hoping into the airplane and hitting “Direct To”, it is important to have some preselected visual reference checkpoints along your flight…
- Checkpoints don’t have to be directly under your course line…
If you think about it, a checkpoint that you will pass directly over, may be difficult to spot accurately as you’ll see the point over the nose before you reach it, but as you approach it’ll disappear below you. The simple trick is to note something else to the left or right that is easily identifiable out the side window. This way you’ll know exactly when you’ve reached your checkpoint. That way your “old fashioned” flight plan form can be accurately filled out, and your ETA can be adjusted based on changes to conditions, that is if you’re actually filling out the form… (My students always did!)
When planning a course, you can use any plotter to add “gutters”, essentially using the scale line in the middle of the clear plotter portion to cover your course line and then tracing the straight edge of the plotter to parallel your course line. Then repeating for a gutter on the other side. This will give you a course corridor, not that you want to ping-pong down the gutters of your course, but anything within those gutters should be easy to spot and gives you a good frame of reference.
Flying a cross country at 3500′ vs 9500′ makes a big difference as well. Ever notice how a water tower makes a great landmark for aiming to set up a 45-degree traffic pattern entry or a base turn, yet, you’d NEVER use a single water tower as a checkpoint, while cruising along at 7500′? When selecting checkpoints for a flight, the altitude you’ll be flying at needs to come into consideration…
2. Look for multiple pieces that make an area unique!
I remember a young pilot, talking to New York approach, flying in the Class Bravo airspace directly above the Hudson River exclusion area… He wasn’t completely certain if he was over the Hudson River though. I thought I was, the yoke-mount GPS told me I was, but the East River looked a lot like where I was supposed to be at the time. I remember being mildly nervous for a few minutes, before I calmly looked forward and noted that the tall buildings were where they were supposed to be… I was in the right place. The shape of the waterway wasn’t enough to get me to trust myself at that time, I needed to add in other pieces and once I did that, I realized I was right, calmed down and enjoyed the view…
Having a Plan B, C, etc… is very important. Similarly, when it comes to selecting a checkpoint, it is always best to have a couple of components that make up the checkpoint. A highway exchange, with a uniquely shaped cloverleaf makes a good checkpoint, but knowing that there is a pond in the North quadrant of the exchange makes the checkpoint all that much more reliable. If there is no lake, then using a cross radial from a nearby VOR is also a good way to have positive checkpoint identification!
3. Sometimes the best checkpoints are “Big Picture” things…
My flight students would fly to one of 4 preselected, scouted and approved airports for cross country flights. I did this for a number of reasons…
- If they got stuck there was a place to stay.
- The airports were easily accessible by highway if they got stranded and I couldn’t fly out to get them.
- There was a good FBO or restaurant for them to visit while they were there.
- The airports when combined together allowed them to meet all of the cross country flight time requirements without having to do too many flight, while also accomplishing the required number of solo takeoffs and landings in a traffic pattern at an airport with an operating control tower.
Anyways, each of the airpots had a “big picture” checkpoint… Something to provide a little extra confidence that they saw and were landing at the right airport. Here’s what I mean:
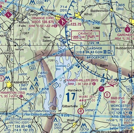
Orange, ME (KORE)

The Quabbin Reservoir is a man-made lake, the result of flooding a variety of towns and a great deal of construction in the 1930’s, to create a drinking supply for the Boston metro area. The Quabbin is the largest body of water in Massachusetts and stretches North to South for 18 miles. Any pilot flying West in Massachusetts will see it, when visual meteorological condition exist anyways…
The Orange Airport is directly North of the Quabbin. The course line from Mansfield would be roughly Northwest, meaning as my student approached Orange, the Quabbin would be guiding them in, also making it very easy, as essentially the large body of water would be pointing right to the airport…
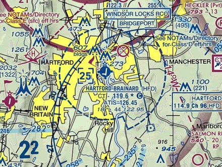
Hartford, CT (KHFD)

Hartford is the insurance capital of the country and the variety of metropolitan buildings in the downtown help students to find this airport, nestled right up to the Connecticut River. The airport itself is difficult to see when flying from Mansfield. Yet, knowing that the airport lies between the river and the tall buildings, makes it easy to locate…
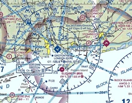
Groton, CT (KGON)

The Groton Airport and the Westerly (Rhode Island) State Airport aren’t very far apart, have similar runway complexes (in the eyes of a student pilot), yet are very different airports. Groton has a control tower Westerly does not. Groton is in Connecticut, Westerly is in Rhode Island. Groton is a cross country flight from Mansfield, Westerly is not…
The trick to finding Groton is that the airport is right on the water and is located on the east side of the Thames River, running south from inland Connecticut, emptying into the Long Island sound at Groton. The Thames River adds that little bit of extra orientation help for pilots to positively identify Groton.
Chatham, MA (KCQX)

The Chatham Airport is very easy to find. When you run out of land, turn around, you missed it… Chatham lies at the “elbow” of Cape Cod… Pilot approaching can easily identify the Chatham Airport, this one be a little too easy, but it’s all because of the big picture. Cape Cod is a uniquely shaped land mass and that makes it all the easier to identify where Chatham sits.
So next time you’re flying to an unfamiliar airport, look for the “big picture” check point.
-Fly Safe, @MTElia1B9